1 of 9Apr 26
Loading...
FOR SALE

46 Dairy Lane Te Awamutu, 3800


46 Dairy Lane , Te Awamutu, 3800
bed4
bathroom2
car-
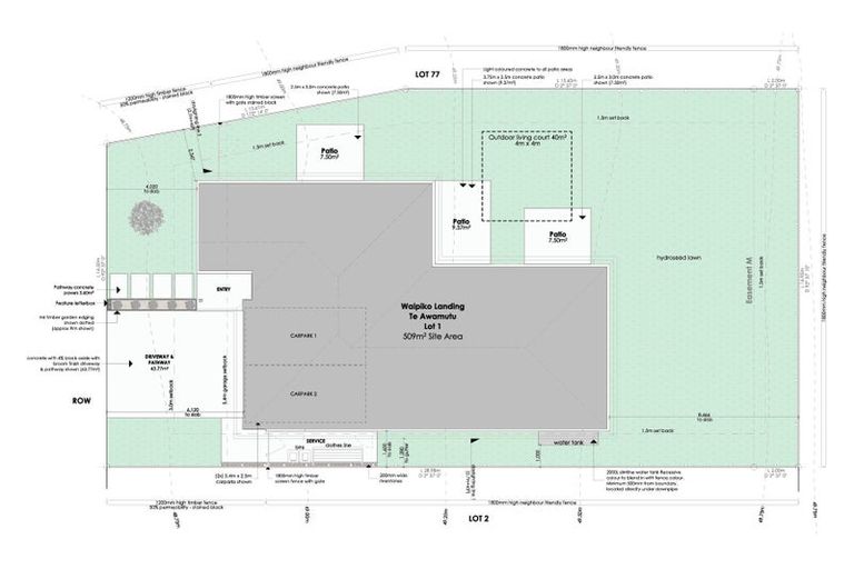
land509 m2
floor-
Property Type
Residential
Year Built
-
Last Sale information not available

Estimated Value Range  


An estimate of value is not currently available for this property. There could be insufficient property information or recent sales data. The property could be out of scope (e.g. non-residential, highly unique, rural) or the estimate cannot be determined with high enough confidence.

About 46 Dairy Lane, Te Awamutu, 3800

46 Dairy Lane, Te Awamutu, 3800 is a Residential property with 4 bedrooms, 2 bathrooms and 0 parking spaces. Due to insufficient data, the value of the property cannot be estimated.

It is unknown when the property was last sold or how much it was sold for. On 1 August 2025, 46 Dairy Lane, Te Awamutu, 3800 had a Rating Valuation with a Capital Value of $375,000 and Land Value of $375,000.

Property History

DateTypePriceAgent/Agency
1 Apr 2026ASKING PRICE$899,000Bree Stevenson of Venture Developements Ltd
Present Day
1 Apr
2026
Asking Price — $899,000
Listed by Bree Stevenson of Venture Developements Ltd
Unknown
Property Built

Commute Calculator

-
-
-
-

Rating Valuation

Capital Value
$375,000
Land Value
$375,000
Improvement Value
-
Legal Description(s)

Lot 82 Deposited Plan 610360

Valuation Date
01-08-2025
Valuation Reference
4493/602

Additional Information

Roof Construction
-
Zone
Residential Zone A, 9A
Units of Use
1
Wall Construction
-
Maori Land
No
Territorial Authority
Waipa District
Land Use
-

Suburb Insights

Comparable Properties

There are no similar properties in the area that are listed for sale or recently sold.