1 of 7Nov 22
Loading...

35 Holmes Road Methven, 7730


35 Holmes Road , Methven, 7730
bed-
bathroom1
car-
land797 m2
floor-
Property Type
Residential
Year Built
-
Last Sold on 18 Feb 2026 for $965,000
Settlement Date
25 Mar 2026
Sold By
-
Settlement Date
25 Mar 2026
Sold By
-

Estimated Value Range  


An estimate of value is not currently available for this property. There could be insufficient property information or recent sales data. The property could be out of scope (e.g. non-residential, highly unique, rural) or the estimate cannot be determined with high enough confidence.

About 35 Holmes Road, Methven, 7730

35 Holmes Road, Methven, 7730 is a Residential property with 0 bedrooms, 1 bathroom and 0 parking spaces. Due to insufficient data, the value of the property cannot be estimated.

The property last sold on 18 February 2026 for $965,000. On 1 July 2024, 35 Holmes Road, Methven, 7730 had a Rating Valuation with a Capital Value of $180,000 and Land Value of $180,000.

Property History

DateTypePriceAgent/Agency
18 Feb 2026SOLD$965,000
7 Apr 2025SOLD$181,500
25 Nov 2022ENQUIRIES OVER$199,000Tammy McDougall of Ashburton Real Estate Limited, (Licensed: Reaa 2008)
6 Jun 2021SOLD$155,000
Present Day
18 Feb
2026
Sold for $965,000
2 months 20 days
7 Apr
2025
Sold for $181,500
1 year 1 month 1 day
25 Nov
2022
Enquiries Over — $199,000
Listed by Tammy McDougall of Ashburton Real Estate Limited, (Licensed: Reaa 2008)
6 Jun
2021
Sold for $155,000
4 years 11 months 2 days
Unknown
Property Built

Commute Calculator

-
-
-
-

Rating Valuation

Capital Value
$180,000
Land Value
$180,000
Improvement Value
-
Legal Description(s)

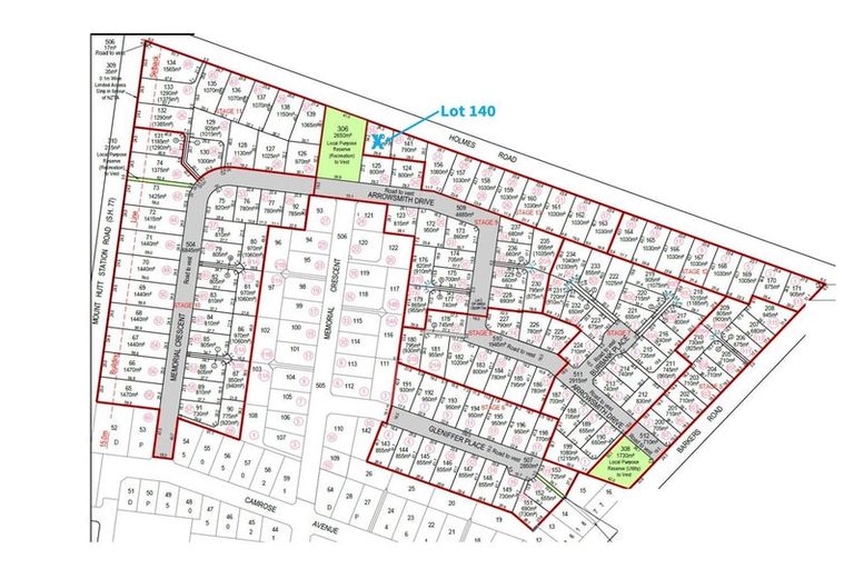
Lot 140 Deposited Plan 593074

Valuation Date
01-07-2024
Valuation Reference
24391/42430

Additional Information

Roof Construction
-
Zone
Residential Zone A, 9A
Units of Use
1
Wall Construction
-
Maori Land
No
Territorial Authority
Ashburton District
Land Use
Vacant Residential

Suburb Insights

Comparable Properties

There are no similar properties in the area that are listed for sale or recently sold.