
49 Graeme Avenue, Mangere East, Auckland, 2024 is a Residential property built in 1959 with 3 bedrooms, 2 bathrooms and 2 parking spaces. The property is estimated to be valued in the range of $1,100,000 to $1,200,000.
The property last sold on 18 July 2015 for $735,000. It was sold by Image Realty Ltd, and took 16 days to sell. On 1 May 2024, 49 Graeme Avenue, Mangere East, Auckland, 2024 had a Rating Valuation with a Capital Value of $1,225,000, Land Value of $950,000 and Improvement Value of $275,000.
| Date | Type | Price | Agent/Agency |
|---|---|---|---|
| 15 Aug 2022 | Rented | $695 | |
| 14 Jul 2022 | BY NEGOTIATION | Price Not Disclosed | Gary Bal of Century 21 Local Realty |
| 18 Jul 2015 | SOLD | $735,000 | Anne Purdie of Image Realty Ltd |
| 3 Jul 2015 | AUCTION | Price Not Disclosed | Anne Purdie of Image Realty Ltd |
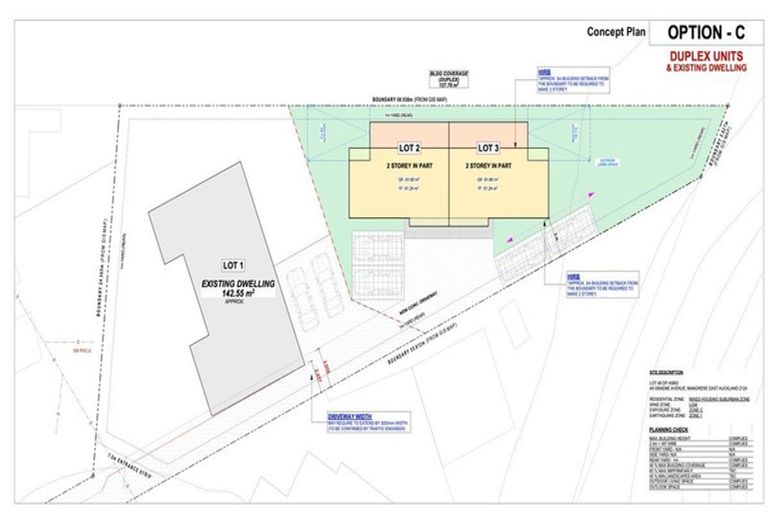
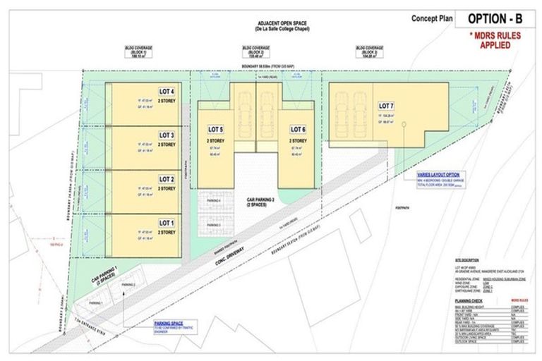
Lot 48 Deposited Plan 45893
There are no similar properties in the area that are listed for sale or recently sold.