
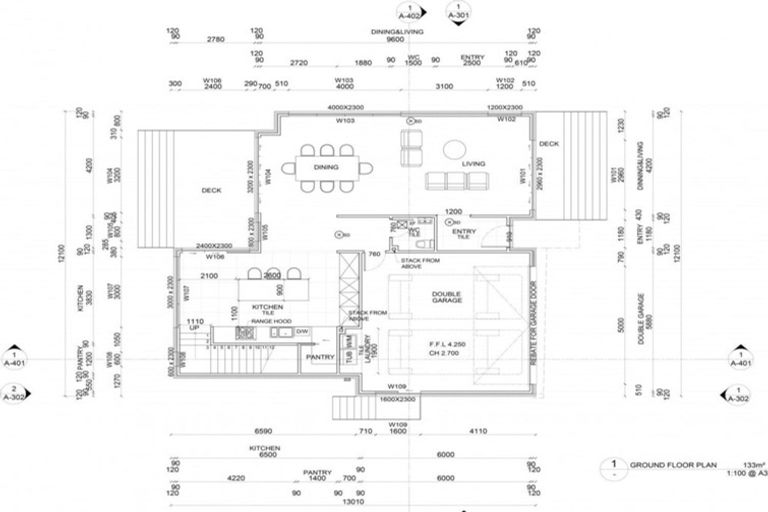
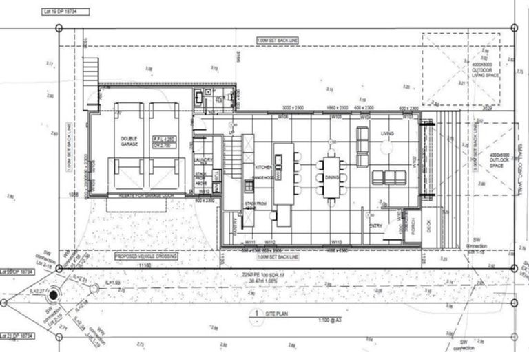
18 The Esplanade, Eastern Beach, Auckland, 2012 is a Residential property built in 1950 with 5 bedrooms, 4 bathrooms and 0 parking spaces. The property is estimated to be valued in the range of $4,000,000 to $4,500,000.
The property last sold on 18 September 2019 for $2,400,000. It was sold by Surecapital Real Estate Limited (Licensed:Reaa 2008) Re/Max Partners, and took 51 days to sell. On 1 May 2024, 18 The Esplanade, Eastern Beach, Auckland, 2012 had a Rating Valuation with a Capital Value of $3,475,000, Land Value of $2,350,000 and Improvement Value of $1,125,000.
| Date | Type | Price | Agent/Agency |
|---|---|---|---|
| 5 Sep 2024 | ASKING PRICE | Price Not Disclosed | Cathy Carter of Bayleys Waiheke |
| 18 Sep 2019 | SOLD | $2,400,000 | Jerry Chen of Surecapital Real Estate Limited (Licensed:Reaa 2008) Re/Max Partners |
| 30 Jul 2019 | BY NEGOTIATION | Price Not Disclosed | Jerry Chen of Surecapital Real Estate Limited (Licensed:Reaa 2008) Re/Max Partners |
| 3 May 2017 | ASKING PRICE | $2,500,000 | Jerry Chen of Re/Max Partners |
| 2 Dec 2014 | SOLD | $2,110,000 | Roger Sumich of Bayleys Howick |
| 6 Nov 2014 | AUCTION | Price Not Disclosed | Roger Sumich of Bayleys Howick |
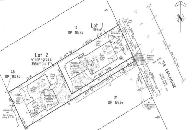
Lot 20 Deposited Plan 18734
There are no similar properties in the area that are listed for sale or recently sold.